買う辻堂駅の土地を探す

現在の検索条件

  • 検索条件を保存
  • 登録した検索条件
東海道本線
検索条件 価格 : 下限なし〜上限なし 土地面積 : 下限なし 〜 上限なし 駅徒歩 : 指定なし 検索条件を変更
こだわり条件 指定なし こだわり条件を変更

10件中1〜10件を表示

  • 画像を大きく表示
  • リストで表示

表示件数

並び替え

チェックした物件をまとめて

資料請求・お問い合わせ

南西・北西角地で日当たり良好! 現況建物あり

  • 南道路(南西・南東含む)に接道
  • 角地
  • 建築条件がない
  • 低層住居専用地域に立地
  • 土地面積が100m?以上
フロア画像を拡大する
画像枚数12枚
価格
4,780万円
所在地
神奈川県藤沢市辻堂東海岸1丁目
交通

東海道本線辻堂」駅徒歩21分

東海道本線辻堂」駅バス9分徒歩1分

土地面積
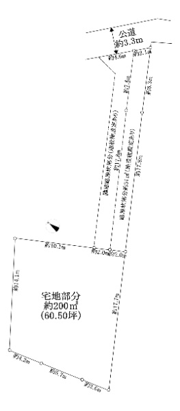
173.12m²
建ぺい率 / 容積率
40% / 80%
  • 気になるリストへ
  • 比較リストへ

資料請求・お問い合わせ

辻堂太平台の土地、自動車出入り可能、静かな住環境

  • 建築条件がない
  • 低層住居専用地域に立地
  • 土地面積が100m?以上
  • 更地(引渡時も含む)
フロア画像を拡大する
画像枚数11枚
価格
4,750万円
所在地
神奈川県藤沢市辻堂太平台1丁目
交通

東海道本線辻堂」駅徒歩20分

土地面積
251m²
建ぺい率 / 容積率
40% / 80%
  • 気になるリストへ
  • 比較リストへ

資料請求・お問い合わせ

☆海まで徒歩9分 ☆お好きなハウスメーカー・建設会社で建築できます

  • 南道路(南西・南東含む)に接道
  • 角地
  • 建築条件がない
  • 低層住居専用地域に立地
  • 土地面積が100m?以上
フロア画像を拡大する
画像枚数15枚
価格
6,980万円
所在地
神奈川県茅ヶ崎市東海岸南5丁目
交通

東海道本線茅ケ崎」駅徒歩18分

東海道本線茅ケ崎」駅バス5分徒歩4分

東海道本線辻堂」駅バス15分徒歩5分

土地面積
177.94m²
建ぺい率 / 容積率
50% / 100%
  • 気になるリストへ
  • 比較リストへ

資料請求・お問い合わせ

〜土地面積183.92坪(608.03u)〜辻堂東海岸の閑静な住宅街に立地〜

  • 建築条件がない
  • 低層住居専用地域に立地
  • 土地面積が100m?以上
画像枚数-枚
価格
1億6,840万円
所在地
神奈川県藤沢市辻堂東海岸2丁目
交通

小田急江ノ島線鵠沼海岸」駅徒歩17分

東海道本線辻堂」駅バス7分徒歩13分

東海道本線藤沢」駅バス17分徒歩13分

土地面積
608.03m²
建ぺい率 / 容積率
50% / 80%
  • 気になるリストへ
  • 比較リストへ

資料請求・お問い合わせ

〜南向きにつき陽当り良好な23.23坪の土地〜

  • 南道路(南西・南東含む)に接道
  • 建築条件がない
フロア画像を拡大する
画像枚数12枚
価格
4,480万円
所在地
神奈川県藤沢市辻堂新町2丁目
交通

東海道本線辻堂」駅徒歩16分

土地面積
76.82m²
建ぺい率 / 容積率
60% / 160%
  • 気になるリストへ
  • 比較リストへ

資料請求・お問い合わせ

〜駅まで平坦アクセスの20.35坪〜

  • 南道路(南西・南東含む)に接道
  • 建築条件がない
フロア画像を拡大する
画像枚数12枚
価格
3,950万円
所在地
神奈川県藤沢市辻堂新町2丁目
交通

東海道本線辻堂」駅徒歩16分

土地面積
67.29m²
建ぺい率 / 容積率
60% / 160%
  • 気になるリストへ
  • 比較リストへ

資料請求・お問い合わせ

〜 湘南の自然と静けさに包まれる、藤沢遠藤の住環境 〜

  • 建築条件がない
  • 低層住居専用地域に立地
  • 土地面積が100m?以上
フロア画像を拡大する
画像枚数13枚
価格
2,999万円
所在地
神奈川県藤沢市遠藤
交通

小田急江ノ島線湘南台」駅バス15分徒歩3分

東海道本線辻堂」駅バス31分徒歩3分

土地面積
170m²
建ぺい率 / 容積率
50% / 80%
  • 気になるリストへ
  • 比較リストへ

資料請求・お問い合わせ

田園風景を望める緑豊かな住宅街です

  • 南道路(南西・南東含む)に接道
  • 土地面積が100m?以上
フロア画像を拡大する
画像枚数12枚
価格
1,280万円
所在地
神奈川県茅ヶ崎市堤
交通

東海道本線辻堂」駅バス13分徒歩8分

東海道本線茅ケ崎」駅バス20分徒歩12分

土地面積
164.99m²
建ぺい率 / 容積率
50% / 100%
  • 気になるリストへ
  • 比較リストへ

資料請求・お問い合わせ

◇海まで徒歩8分で日常に海を感じられる物件です!

  • 建築条件がない
  • 低層住居専用地域に立地
フロア画像を拡大する
画像枚数9枚
価格
2,800万円
所在地
神奈川県茅ヶ崎市浜須賀
交通

東海道本線辻堂」駅バス10分徒歩6分

東海道本線茅ケ崎」駅バス10分徒歩6分

湘南新宿ライン(前橋〜小田原)茅ケ崎」駅バス10分徒歩6分

土地面積
86.21m²
建ぺい率 / 容積率
50% / 100%
  • 気になるリストへ
  • 比較リストへ

資料請求・お問い合わせ

南東側道路のため陽当り良好 <お好きなハウスメーカー・建設会社で建築可能>

  • 南道路(南西・南東含む)に接道
  • 建築条件がない
  • 土地面積が100m?以上
フロア画像を拡大する
画像枚数13枚
価格
6,480万円
所在地
神奈川県茅ヶ崎市菱沼1丁目
交通

東海道本線辻堂」駅バス10分徒歩4分

土地面積
222.37m²
建ぺい率 / 容積率
60% / 200%
  • 気になるリストへ
  • 比較リストへ

資料請求・お問い合わせ

チェックした物件をまとめて

資料請求・お問い合わせ

新着物件をメールでお知らせします

検索条件を登録すれば、その条件に合う新着物件をパソコン・携帯メール宛にお知らせします。
まずは、右の「検索条件登録」ボタンから、現在の検索条件を登録してください。

検索条件登録

  • 新着1週間以内に登録された物件
  • 価格更新1週間以内に価格が更新された物件
  • おすすめ物件営業センターのおすすめ物件
  • 駅徒歩10分以内駅徒歩10分以内
  • 南道路(南西・南東含む)南道路(南西・南東含む)に接道
  • 角地角地
  • 低層住居専用地域低層住居専用地域に立地
  • 建築条件なし建築条件がない
  • 土地面積100m²以上土地面積が100m²以上
  • 更地(引渡時も含む)更地(引渡時も含む)
  • 新築新築物件
  • 【現地見学】オープンランド開催オープンランド・予約制内覧会
  • 予告広告販売開始まで契約または予約の申し込みは出来ません