土地面積
251.00 m2
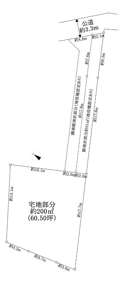
(約75.92坪)※公簿/路地状部分:51.00m2含む
建ぺい率
40 %
容積率
80 %

土地

4,750万円

藤沢市辻堂太平台1丁目土地

土地

辻堂太平台の土地、自動車出入り可能、静かな住環境

神奈川県藤沢市辻堂太平台1丁目

土地面積251.00m2(約75.92坪)※公簿/路地状部分:51.00m2含む・建ぺい率40%・容積率80%

借入希望金額や金利を入力すると
返済計画を組み立てることができます。

ローンシミュレーション結果

毎月返済額
ボーナス月返済額
年間返済額
月々のお支払い

(ボーナス月お支払い額 ¥円)
ローン
  • 別途月額費用がかかる場合があります。詳しくは営業担当にお問い合わせください。

住宅ローンの詳細は三井住友銀行 のホームページをご覧ください。

  • このシミュレーションは、借入れを保証するものではありません。「免責事項」をご確認の上、ご利用ください。
  • ボーナス返済額の上限は、金融機関によって異なります。
  • ご購入にあたっては別途諸費用等が必要です。詳しくは営業担当にお問合せください。

金利:2026年4月時点のものです。

物件のポイント

物件の特徴

  • 更地
    更地
  • 低層住居専用地域
    低層住居専用地域
  • 建築条件なし
    建築条件なし
  • セットバックなし・済み
    セットバックなし・済み
  • 土地面積50坪以上
    土地面積50坪以上
  • 前面道路公道
    前面道路公道
  • 更地
    更地
  • 低層住居専用地域
    低層住居専用地域
  • 建築条件なし
    建築条件なし
  • セットバックなし・済み
    セットバックなし・済み
  • 土地面積50坪以上
    土地面積50坪以上
  • 前面道路公道
    前面道路公道
  • プロパンガス
  • 上水道
  • 下水道
  • 更地
  • 建築条件なし
  • セットバックなし・済み
  • 土地面積50坪以上
    立地・周辺環境

    低層住居専用地域|本下水|前面道路公道

    セールスポイント

    ◆土地面積 約200u(60.5坪)、路地状部分約51u
    ◆建築条件付き土地ではありません、お好きな建築会社で建築可能です
    ◆太平台風致地区内
    ◆静かな住環境
    ◆本地路地状部分と隣地路地状部分を合わせて、約4mの路地状部分となっています
    (地役権設定あり)ので、自動車出入り可能です。

    担当からのひとこと

    〜〜周辺施設〜〜
    ◆辻堂小学校 徒歩11分、約872m
    ◆湘洋中学校 徒歩22分、約1741m
    ◆ローソンストア100辻堂元町5丁目店 徒歩5分、約365m
    ◆業務スーパー辻堂店 徒歩3分、約204m
    ◆湘南海岸(辻堂海水浴場)徒歩28分、約2168m

    --

    物件詳細

    物件名 藤沢市辻堂太平台1丁目土地
    物件番号 15291099
    所在地 神奈川県藤沢市辻堂太平台1丁目
    価格
    4,750万円
    交通 東海道本線辻堂」駅徒歩20 分
    土地面積 251.00m2(約75.92坪)※公簿/路地状部分:51.00m2含む
    地目
    地勢
    雑種地
    平坦
    接道状況 一方道路・北東3.3m(公道)接面2m
    建ぺい率 40%
    容積率 80%
    都市計画 市街化区域
    用途地域 第1種低層住居専用地域
    地域・地区 風致地区
    引渡時期 相談
    現況 更地
    土地権利 所有権
    建築条件
    取引態様 仲介
    国土法 届出不要

    この情報は2026年04月09日当社物件システムのデータにもとづくものであり、次回更新予定日は2026年04月23日です。