買う北柏駅の土地を探す

現在の検索条件

  • 検索条件を保存
  • 登録した検索条件
常磐線(各駅)
検索条件 価格 : 下限なし〜上限なし 土地面積 : 下限なし 〜 上限なし 駅徒歩 : 指定なし 検索条件を変更
こだわり条件 指定なし こだわり条件を変更

2件中1〜2件を表示

  • 画像を大きく表示
  • リストで表示

表示件数

並び替え

チェックした物件をまとめて

資料請求・お問い合わせ

●公簿198.62u(約60坪) ●三方角地(東×西×南)

  • 南道路(南西・南東含む)に接道
  • 角地
  • 建築条件がない
  • 土地面積が100m?以上
フロア画像を拡大する
画像枚数30枚
価格
2,680万円
所在地
千葉県柏市柏
交通

常磐線(各駅)北柏」駅徒歩17分

土地面積
198.62m²
建ぺい率 / 容積率
60% / 200%
  • 気になるリストへ
  • 比較リストへ

資料請求・お問い合わせ

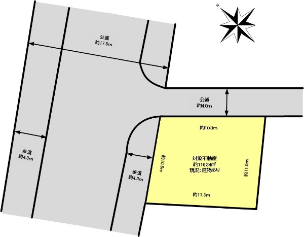
●公簿116.34u(35.19坪) ●角地(北西×北東)●整形地●建築条件なし

  • 角地
  • 建築条件がない
  • 土地面積が100m?以上
フロア画像を拡大する
画像枚数16枚
価格
2,580万円
所在地
千葉県柏市柏
交通

常磐線」駅徒歩22分

東武野田線」駅徒歩22分

常磐線(各駅)北柏」駅徒歩19分

土地面積
116.34m²
建ぺい率 / 容積率
70% / 200%
  • 気になるリストへ
  • 比較リストへ

資料請求・お問い合わせ

チェックした物件をまとめて

資料請求・お問い合わせ

新着物件をメールでお知らせします

検索条件を登録すれば、その条件に合う新着物件をパソコン・携帯メール宛にお知らせします。
まずは、右の「検索条件登録」ボタンから、現在の検索条件を登録してください。

検索条件登録

  • 新着1週間以内に登録された物件
  • 価格更新1週間以内に価格が更新された物件
  • おすすめ物件営業センターのおすすめ物件
  • 駅徒歩10分以内駅徒歩10分以内
  • 南道路(南西・南東含む)南道路(南西・南東含む)に接道
  • 角地角地
  • 低層住居専用地域低層住居専用地域に立地
  • 建築条件なし建築条件がない
  • 土地面積100m²以上土地面積が100m²以上
  • 更地(引渡時も含む)更地(引渡時も含む)
  • 新築新築物件
  • 【現地見学】オープンランド開催オープンランド・予約制内覧会
  • 予告広告販売開始まで契約または予約の申し込みは出来ません